
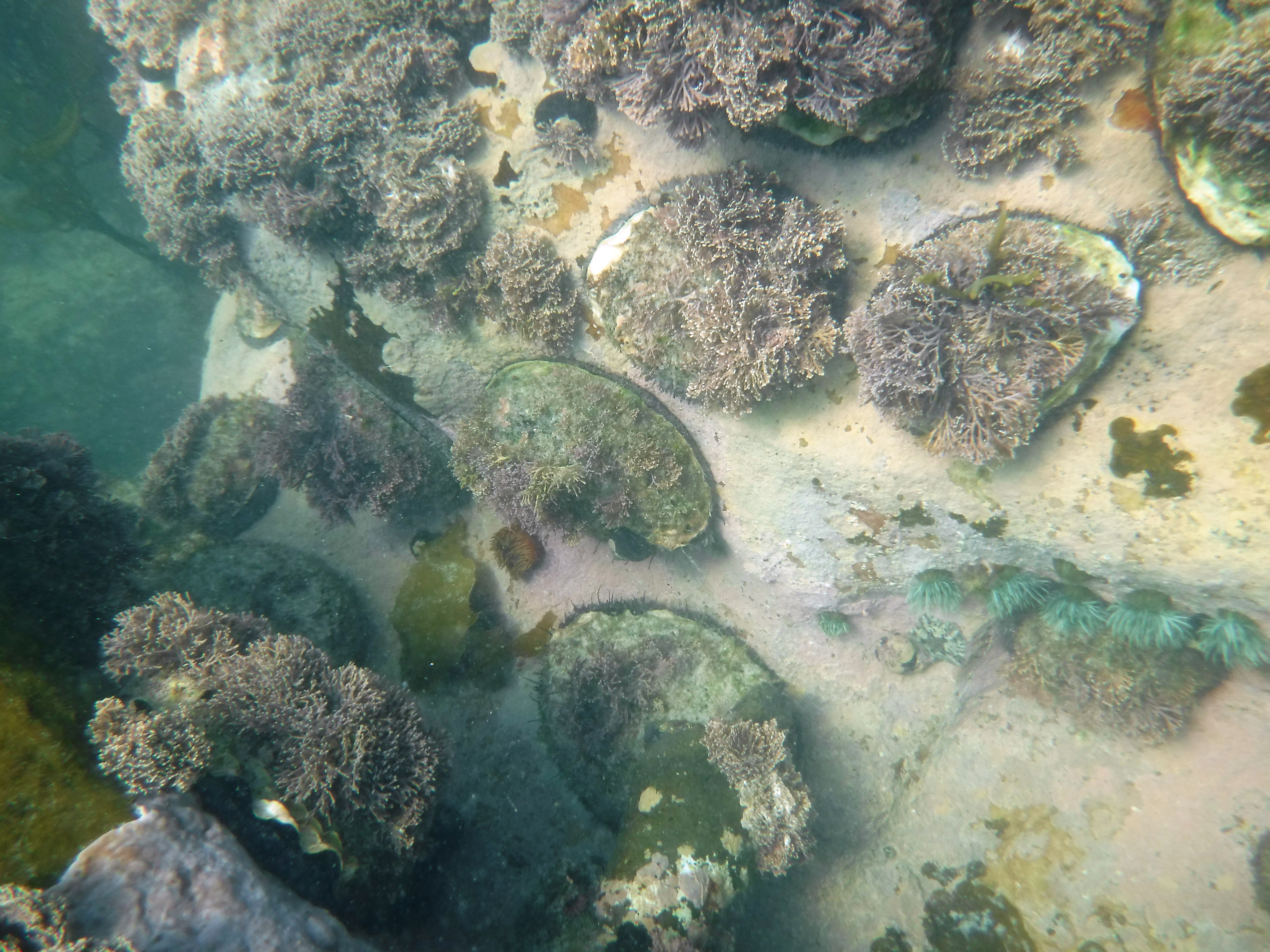
We are surrounded by natural phenomena. They may be drowned out by the busyness of our day-to-day lives but they are ever-present and all we need do is take a moment to open our eyes; acknowledge that stubborn little flower growing through the crack in the cement pavement, appreciate the rejuvenation of life after devastating fires or admire the shift in nature’s palette with the changing of seasons. Explore the boundless realms of our natural world. Dream. Discover earth’s hidden treasures. Diving beneath the surface, allow yourself to be embraced by the feeling of serenity in an underwater world so alive with movement and vibrant colours. These photographs were taken while I was snorkeling in the secluded coves dotted along the western shores of False Bay and swimming with Cape fur seals around Duiker Island in Hout Bay.
Explore. Dream. Discover.





























































